30 abril 2026
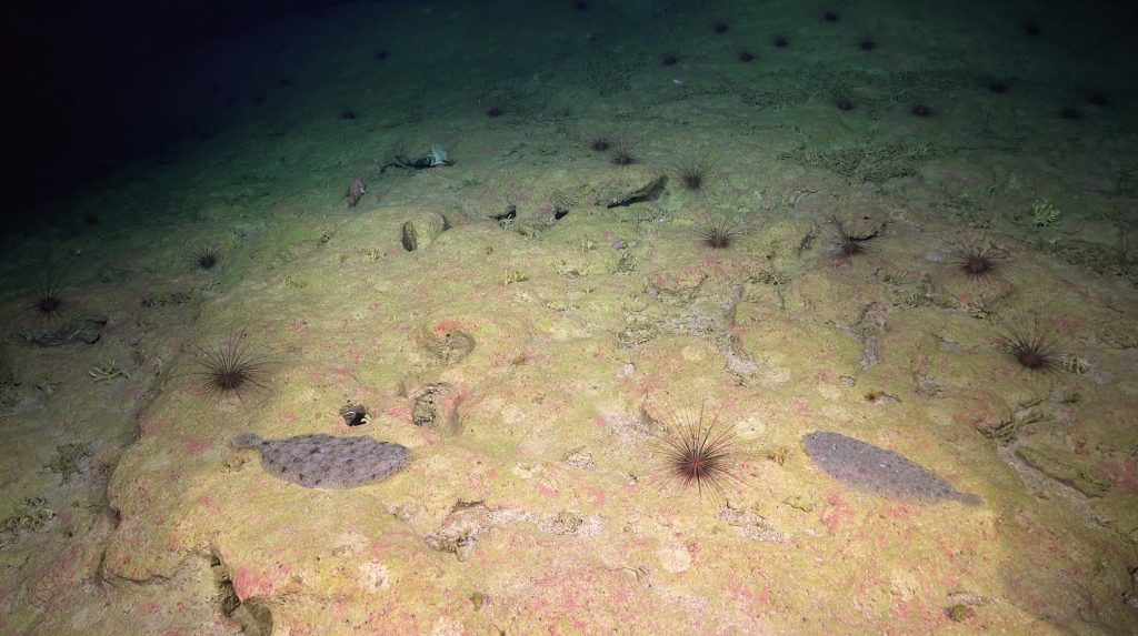
Un grupo internacional de científicos, dirigido por el Dr. Javier Sellanes de la Universidad Católica del Norte, descubrió más de 100 nuevas especies que viven en los montes submarinos frente a las costas de Chile. La reciente expedición del Schmidt Ocean Institute dio como resultado la identificación de corales de aguas profundas, esponjas de vidrio, erizos de mar, anfípodos, langostas y otras especies probablemente nuevas para la ciencia.
El equipo exploró los montes submarinos a lo largo de las dorsales de Nazca y Salas y Gómez, tanto dentro como fuera de la jurisdicción de Chile, para recopilar datos que pudieran respaldar la designación de un área marina protegida internacional en alta mar.
La Cordillera Salas y Gómez es una cadena montañosa submarina de 2.900 kilómetros de largo que comprende más de 200 montes submarinos que se extienden desde la costa de Chile hasta Rapa Nui, también conocida como Isla de Pascua. La mayor parte de la cresta existe fuera de la jurisdicción nacional. Además, los científicos exploraron dos de las áreas marinas protegidas de Chile, los parques marinos Juan Fernández y Nazca-Desventuradas.
Durante la expedición se utilizó un robot submarino capaz de descender a 4.500 metros de profundidad, para recopilar datos de diez montes submarinos, información que se utilizará para avanzar en los esfuerzos de protección marina de Chile, descubriendo que cada monte submarino albergaba ecosistemas distintos, muchos de los cuales son vulnerables, incluidos prósperos arrecifes de coral de aguas profundas y jardines de esponjas. Además, están analizando la fisiología y genética de los especímenes que sospechan que son nuevos para la ciencia para confirmar si se trata de especies nuevas.
DESCUBREN CUATRO MONTES SUBMARINOS
Los expertos a bordo del barco mapearon 52.777 kilómetros cuadrados de fondo marino, lo que resultó en el descubrimiento de cuatro montes submarinos dentro de aguas chilenas. El cuarto monte submarino, la montaña más alta con 3.530 metros, fue explorado por primera vez, cartografiado y extraoficialmente llamado Solito por el equipo científico.
“Superamos con creces nuestras esperanzas en esta expedición. Siempre esperas encontrar nuevas especies en estas áreas remotas y poco exploradas, pero la cantidad que encontramos, especialmente para algunos grupos como las esponjas, es alucinante”, dijo Sellanes. “Estos ecosistemas prósperos y saludables indican que los parques marinos Nazca-Desventuradas y Juan Fernández protegen eficazmente los delicados hábitats marinos”, agregó.
SEGUNDA EXPEDICIÓN
Una segunda expedición a lo largo de la Cordillera Salas y Gómez comenzó el 24 de febrero, a bordo del buque de investigación Falkor (too). Las inmersiones submarinas se transmitirán en vivo en el canal de YouTube del Schmidt Ocean Institute mientras los científicos exploran áreas a más de 600 metros de profundidad por primera vez.
Schmidt Ocean Institute operará en el Pacífico Sudeste, explorando las aguas frente a Perú y Chile a lo largo de 2024.”La identificación completa de las especies puede llevar muchos años, y el Dr. Sellanes y su equipo tienen una cantidad increíble de muestras de este punto de biodiversidad increíblemente hermoso y poco conocido”, dijo la Dra. Jyotika Virmani, directora ejecutiva del Schmidt Ocean Institute. ” Schmidt Ocean Institute es socio de la Nippon Foundation – Nekton Ocean Census Program, que se ha fijado el objetivo de encontrar 100.000 nuevas especies marinas en los próximos diez años y, una vez identificadas, estas nuevas especies serán parte de eso”.
Schmidt Ocean Institute fue establecido en 2009 por Eric y Wendy Schmidt para catalizar los descubrimientos necesarios para comprender nuestro océano, sustentar la vida y garantizar la salud de nuestro planeta mediante la búsqueda de investigaciones científicas impactantes, observación inteligente, avances tecnológicos e intercambio abierto de información. y participación pública, todo ello en los más altos niveles de excelencia internacional.
Para obtener más información, visite www.schmidtocean.org
Fuente: Schmidt Ocean Institute.










Noticias relacionadas
Ir a noticias30 abril 2026
Investigadores UCN en taller de apoyo para postular a Fondecyt de Iniciación
Ver más30 abril 2026
Women UP I+D 2: propuestas del Programa de Mentorías para Investigadoras
Ver más16 abril 2026